Annuncio inserito da:   Agenzia Casamia Srl

vendita - villa singola - Via Villa 3, Casarsa della Delizia (PN)

Zona: non indicata
Rif. P2479069
320.000€
  • 690  mq
  • 15  locali
  • C. E. Non indicata 
vedi sulla mappa

dettagli

Inserito: 21 giorni fa
  • interno immobile
    • Tipo: villa singola
    • Stato: non indicato
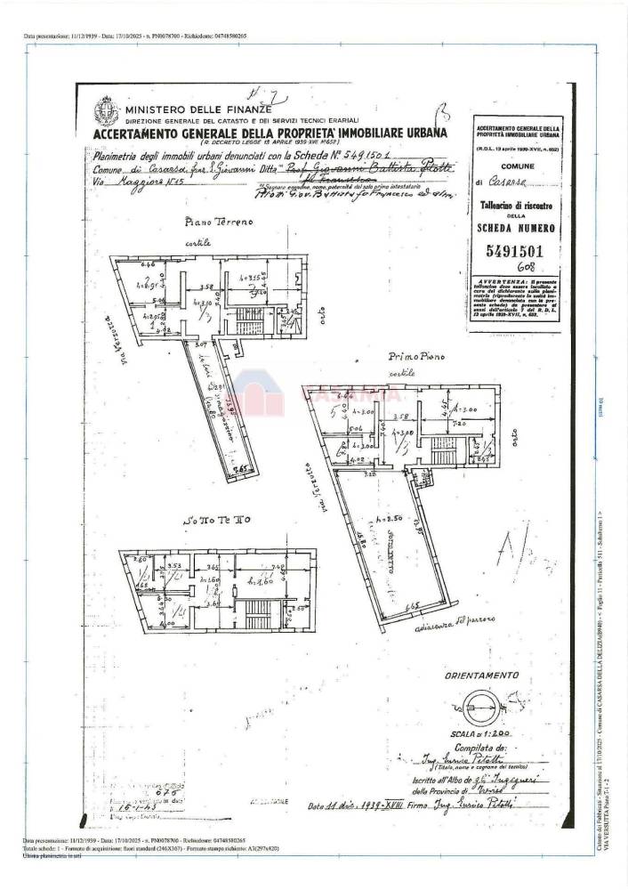
    • Superficie: 690 mq
    • Locali: 15
    • Bagni: 3
    • Tipo cucina: abitabile
    • Riscaldamento: autonomo
    • Tipo riscaldamento: a radiatori
    • Clase energetica: non indicato
    • IPE: non indicata
  • esterno immobile
    • Piano: non indicato di 3
    • Livelli: non indicato
    • Balconi: nessuno
    • Box: non indicato
    • Giardino: privato
    • Pannelli solari: non indicato
  • altre informazioni
    • Categoria: Residenziale
    • Anno construzione: 1700
    • Tipo proprietà: non indicato
    • Stato al rogito: non indicato
    • Arredato: no
    • Spese cond./gen.: n.i.
    • Permuta: non indicato
caratteristiche
  • presente
  • non presente
  • info mancanti
  • ascensore
  • terrazzo
  • condizionatore
  • zanzariere
  • cantina
  • soffitta
  • piscina interrata
  • imp. satellitare
  • cablato/lan
  • imp. allarme
  • adatto diversamente abili

descrizione

Villa storica in centro

Proponiamo in vendita Villa Singola storica in zona centrale a Casarsa. L'immobile, risalente alla fine del 1700, si sviluppa su tre livelli, in un lotto di circa 2.000 mq.
Gli spazi sono generosi ed il potenziale è importante, data anche la posizione centrale.
L'immobile è completamente da ristrutturare.

700 - VIlla in zona centrale

vedi l'annuncio sulla mappa

Indirizzo di questo annuncio: Via Villa 3 , Casarsa della Delizia (PN)

annunci simili per te

Rif. annuncio P2479069
nome agenzia

Agenzia Casamia Srl

contatta l'utente

L'utente non ha inserito alcuna descizione


Ci trovi qui:
Via C. Battisti 52, 31046 Oderzo (TV)

Tel: click per vedere | Mail: click per vedere | Web: www.casamiaonline.it