**Edificio Residenziale in Vendita a Osimo - Grande Potenziale di Ristrutturazione! **
Scopri un'opportunità unica con questo intero fabbricato da ristrutturare, situato su una strada ad alto scorrimento, a pochi passi dal centro e dai supermercati.
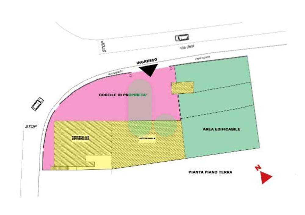
Con una superficie totale di circa 500 mq, l'edificio si sviluppa su due piani e offre un connubio perfetto tra spazi commerciali e residenziali. Al piano terra troverai: un negozio di due locali, un appartamento, un box e tre magazzini, mentre al primo piano è presente un appartamento con una grande terrazza.
L'immobile è ottimo per imprese immobiliari/imprenditori, in quanto permette di poter realizzare appartamenti (da vendere o affittare), uffici, sede della propria società o attività di ristorazione.
Il lotto di terreno di circa 1200 mq include un cortile e un'area edificabile adiacente, offrendo consistenti possibilità di ampliamento. Completamente libero da inquilini, questo immobile è pronto per la tua idea.
La posizione strategica, a soli 6 km dalla stazione ferroviaria di Osimo e a 10 km dai caselli autostradali, rende questa proprietà ancora più interessante.
Non perdere l'occasione di investire in un edificio con un potenziale illimitato, venduto direttamente senza commissioni. Contattaci per maggiori informazioni e per organizzare una visita!
Certificazione energetica G 175Kwh/m2 anno
Prezzo 185.000.
CLASSE ENERGETICA: G 175 kWh/m3 a